Terrenos en Venta en Rincón del Montero DV-AIVIT
$1,875,500 MXN
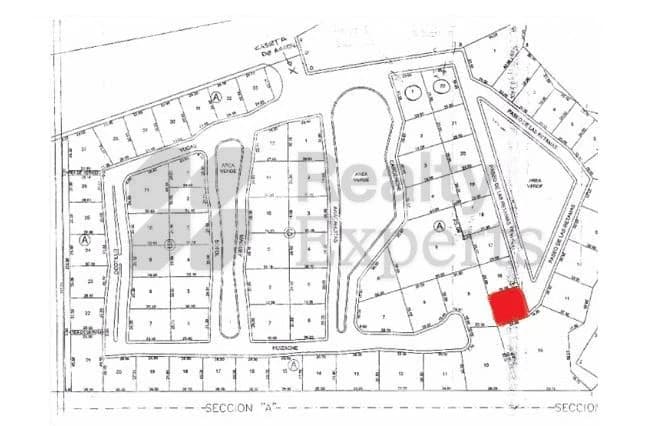
Rincón del Montero, Nogal 15, Parras, Coahuila de Zaragoza
Terreno 625.00m²
Conoce nuestros Insights
Obtén información detallada sobre el entorno de las propiedades dentro de tu rango de búsqueda.
Información general
TipoTerrenos
Construcción625m2
Terreno625m2
Acerca de esta propiedad
Terrenos en Venta en Rincón del MonteroDV-AIVIT
Terreno 625m en venta en rincón del montero, parras. uso habitacional, todos los servicios, libre gravamen. ubicación privilegiada frente al parque. ideal para construir tu hogar. no la pierdas! agenda cita hoy mismo.
Fecha de publicación:
08/05/2021
Fecha de actualización:
31/10/2025
ID: DV-AIVIT
Ubicación en mapa
Rincón del Montero, Parras, Coahuila de Zaragoza
Propiedades similares
Propiedades cercanas con datos de propiedad similares.
Servicios adicionales
Conecta con el profesional adecuado para tu hogar o cualquier desarrollo inmobiliario, en un solo clic.

